-
3 Queen Butterfly / Danaus gilippus thersippus -
4 Queen Butterfly / Danaus gilippus thersippus -
4 Back Bellied Whisler Duck -
3 Euphorbia heterophylla -
4 Spiny-Back orb weaver with red tips -
4 Orchelimum silvaticum -
3 Fawn-Spotted Skipper -
4 Gulf fritillary caterpillar -
3 Crossandra infundibuliformis -
4 Obsure Bird Grasshopper nymph -
4 Xerociris wilsonii Larvae -
4 Possible Crane Fly / Platyipula -
3 False Giant Swallowtail -
3 Hesperiidae - Skipper -
4 Mountain Chicadee -
3 Cassius Blue Leptotes cassius -
2 Rosemary -
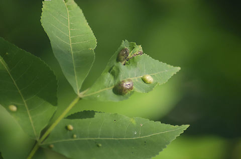
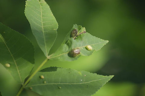
3 Pecan Tree Leaf Gall -
3 Mammillaria elongata - kopper king -
3 Misumena vatia -
4 Green Lacewing? -
3 Sciurus_carolinensis -
2 Conoclinium greggii / Purple Palm Leaf -
3 Loquat_Tree - Eriobotrya japonica
