JungleDragon is a nature and wildlife community for photographers, travellers and anyone who loves nature. We're genuine, free, ad-free and beautiful.

Join

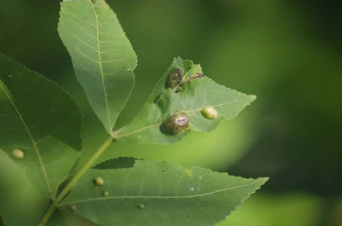
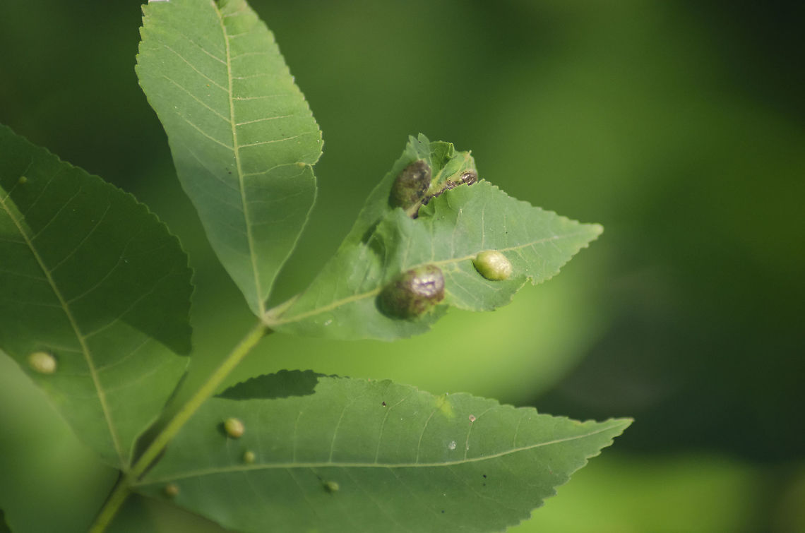
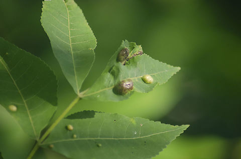
Pecan Tree Leaf Gall This is Leaf Gall on a Southern Pecan Tree. The insect is P. russellae Stoetzel. See reference below:<br />
<a href="http://entoweb.okstate.edu/ddd/insects/phylloxera.htm" rel="nofollow">http://entoweb.okstate.edu/ddd/insects/phylloxera.htm</a> Fall,Geotagged,Phylloxera russellae,United States Click/tap to enlarge Species introCountry intro

Pecan Tree Leaf Gall

This is Leaf Gall on a Southern Pecan Tree. The insect is P. russellae Stoetzel. See reference below:
http://entoweb.okstate.edu/ddd/insects/phylloxera.htm

    comments (2)

  1. VERY nice! Thank you for documenting this! Posted 5 years ago
    1. Thank you, You are welcome! Posted 5 years ago

Sign in or Join in order to comment.

Phylloxera russellae is a hemipteran in the family Phylloxeridae.

Similar species: True Bugs
Species identified by Christine Young
View DebRich's profile

By DebRich

All rights reserved
Uploaded Jul 20, 2020. Captured Nov 2, 2011 07:25 in 216 W Magnolia Ave, San Antonio, TX 78212, USA.
  • NIKON D5100
  • f/5.6
  • 1/125s
  • ISO500
  • 250mm