Glorious Galls
Galls are abnormal growths on the leaves, twigs, roots, or flowers of plants. They can be caused by viruses, fungi, and bacteria, insects, mites, and more.
Christine Young created this list 6 years ago
-
Unknown red-oak-fringed-gall - Cynipidae -
Midge Gall - Schizomyia impatientis -
Unidentified gall growth on eucalyptus leaves -
Wasp Gall - Philonix fulvicollis -
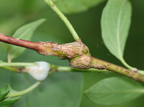
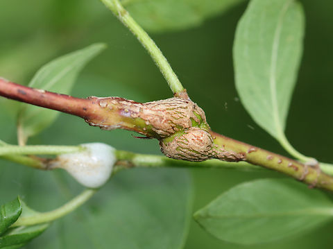
Midge Gall - Iteomyia salicisverruca -
Neuroterus quercusverrucarum -
Plant Gall near Harrison, ID -
Neuroterus tantulus Galls -
Gall , Genus Schedotrioza -
Galls - Phylloxera conica -
Alder Leaf Galls - Eriophyes laevis -
Galls from gall wasp genus - Ophelimus -
Four-winged Gall - Apiomorpha munita -
Midge Galls - Blaesodiplosis crataegifolia -
Aploneura lentisci -
Eucalyptus stem gall - Leptocybe invasa -
Gall on Eucalyptus- Genus - Apiomorpha -
Diplolepis mayri, 메이리 -
Australian Eucalyptus Leafgall Wasp - Ophelimus maskeli -
Genus - Trichilogaster Gall on Acacia longifolia -
Rice Root Aphid - Tetraneura akinire -
Gall Midge - Neolasioptera cornicola -
Azalea Gall - Exobasidium vaccinii -
Woolly Oak Gall - Callirhytis lanata