JungleDragon is a nature and wildlife community for photographers, travellers and anyone who loves nature. We're genuine, free, ad-free and beautiful.

Join

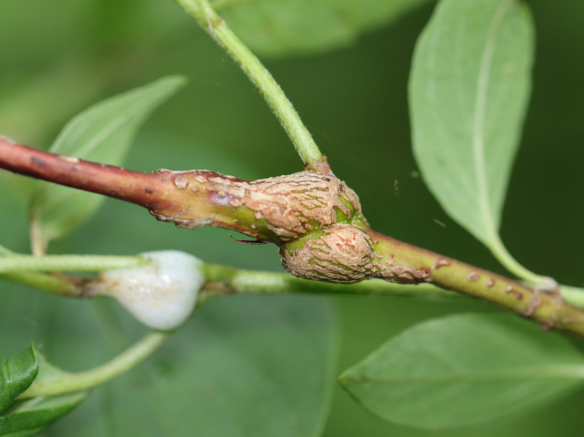
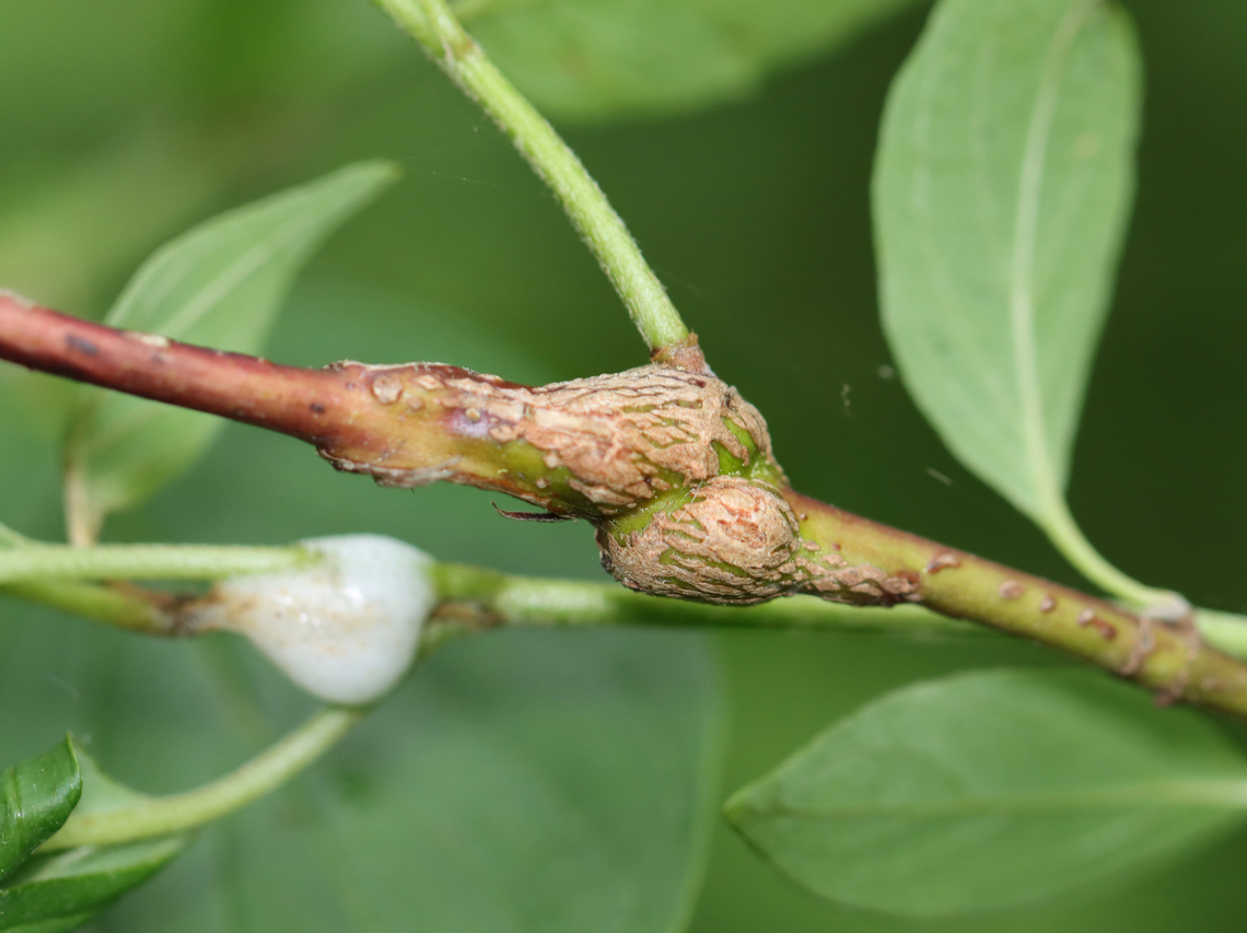
Gall Midge - Neolasioptera cornicola Host: Cornus Cecidomyiidae,Geotagged,Neolasioptera,Neolasioptera cornicola,Spring,United States,cornus,gall Click/tap to enlarge PromotedSpecies introCountry intro

    comments (4)

  1. It's mandatory for me to mention the spittlebugs in the back. Posted 7 months ago
    1. I'm glad. I was distressed thinking that some people might think that I had spit on that branch. This clears it up. Posted 7 months ago
      1. We all know you could not reach that high. Posted 7 months ago
        1. Still waiting for my growth spurt ;P Posted 7 months ago

Sign in or Join in order to comment.

"Neolasioptera cornicola" is a species of gall midges, insects in the family Cecidomyiidae.

Similar species: True Flies
Species identified by Christine Young
View Christine Young's profile

By Christine Young

Attribution Non-Commercial
Uploaded Apr 17, 2025. Captured Jun 14, 2024 11:23 in 91 Main St, Sharon, CT 06069, USA.
  • Canon EOS 90D
  • f/4.0
  • 1/83s
  • ISO400
  • 100mm