JungleDragon is a nature and wildlife community for photographers, travellers and anyone who loves nature. We're genuine, free, ad-free and beautiful.

Join

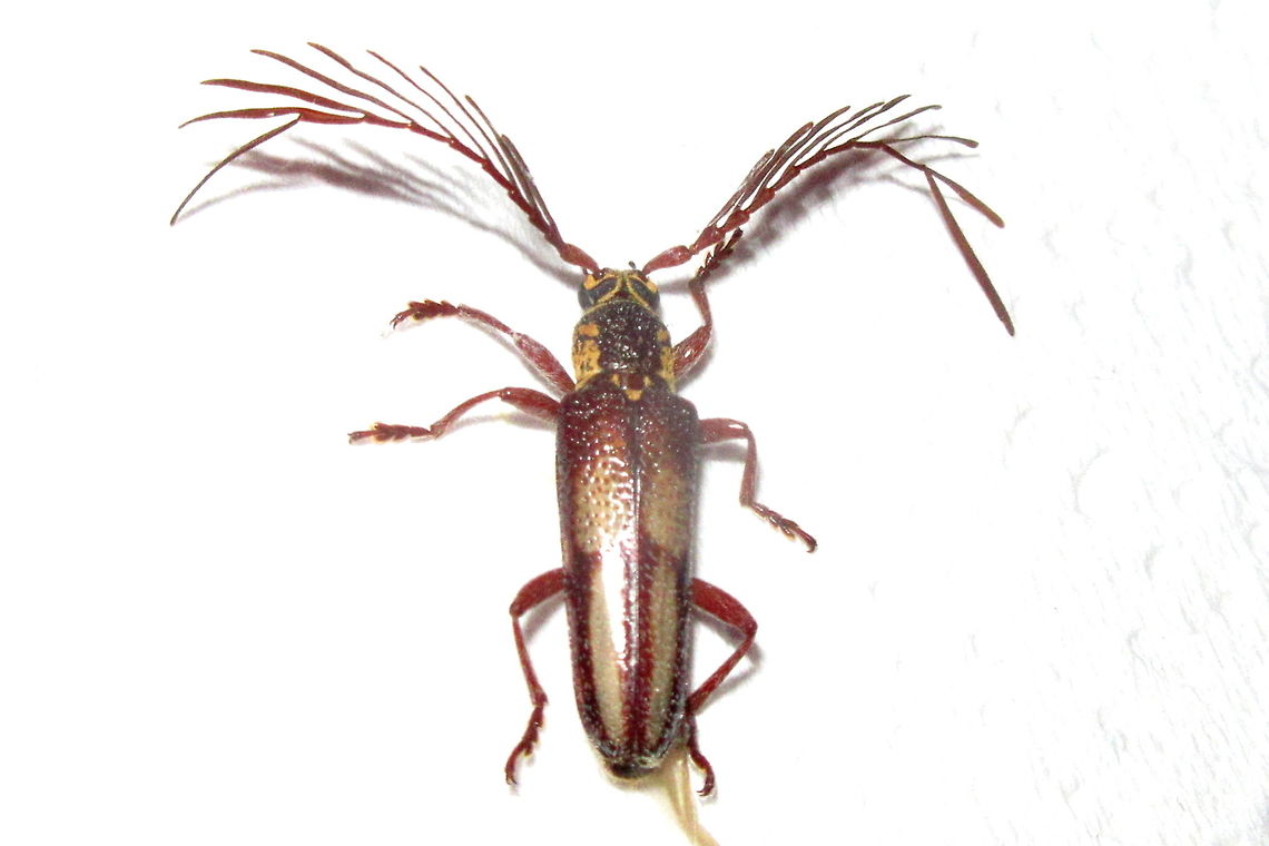
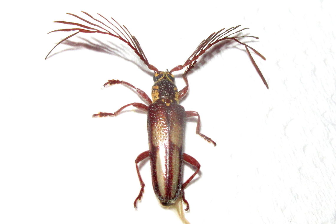
Feather horned longicorn &#039;Rescued&#039; from the web of a common house spider this one needed a lot of cleaning up with soft paint brushes for a &#039;photo shoot&#039;.<br />
I assumed it had been envenomed as it was very still but 24 hours later it flew off.  Australia,Geotagged,Piesarthrius marginellus,Summer Click/tap to enlarge Promoted

Feather horned longicorn

'Rescued' from the web of a common house spider this one needed a lot of cleaning up with soft paint brushes for a 'photo shoot'.
I assumed it had been envenomed as it was very still but 24 hours later it flew off.

    comments (2)

  1. Gorgeous! <3 Posted 6 years ago
  2. Wow! This beauty lives to see another day :) Posted 6 years ago

Sign in or Join in order to comment.

Piesarthrius marginellus is a longicorn (longhorned) beetle found in eastern Australia and notable for the males impressive feathery antennae.

Similar species: Beetles
Species identified by Mark Ridgway
View Mark Ridgway's profile

By Mark Ridgway

Attribution Non-Commercial
Uploaded Jan 31, 2019. Captured Jan 29, 2019 00:42 in 9 Gilbert Park Dr, Knoxfield VIC 3180, Australia.
  • Canon IXUS 285 HS
  • f/10.0
  • 1/60s
  • ISO500
  • 4.5mm