JungleDragon is a nature and wildlife community for photographers, travellers and anyone who loves nature. We're genuine, free, ad-free and beautiful.

Join

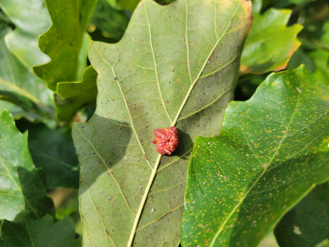
Andricus nigricens This is a picture of Andricus nigricens at Leakin Park in Baltimore City, Maryland. Andricus nigricens,Fall,Geotagged,United States Click/tap to enlarge Species introCountry intro

Andricus nigricens

This is a picture of Andricus nigricens at Leakin Park in Baltimore City, Maryland.

    comments (1)

  1. It looks like someone stuck a wad of chewed gum under the leaf. ;P Posted one year ago

Sign in or Join in order to comment.

Andricus nigricens is a gall wasp in the Andricus genus.

Species identified by Ferdy Christant
View Matthew Beziat's profile

By Matthew Beziat

All rights reserved
Uploaded Nov 10, 2023. Captured Oct 7, 2023 14:25 in 4700 N Franklintown Rd, Baltimore, MD 21229, USA.
  • SM-G991U
  • f/1.8
  • 1/1s
  • ISO40
  • 5.4mm