
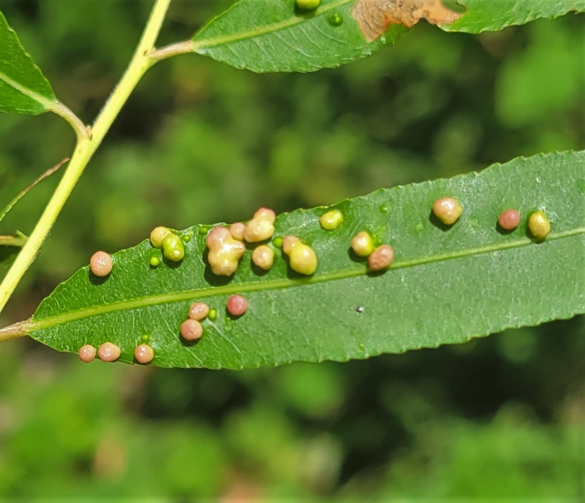
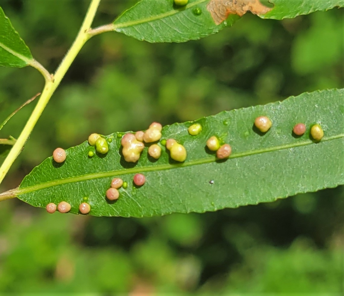
"Aculus tetanothrix" is a species of mite which causes galls on the leaves of willows. It was first described by Alfred Nalepa in 1889.
Similar species: Sarcoptiformes
By Matthew Beziat
All rights reserved
Uploaded Jan 3, 2023. Captured Sep 4, 2022 12:18 in 4500 N Franklintown Rd, Baltimore, MD 21229, USA.