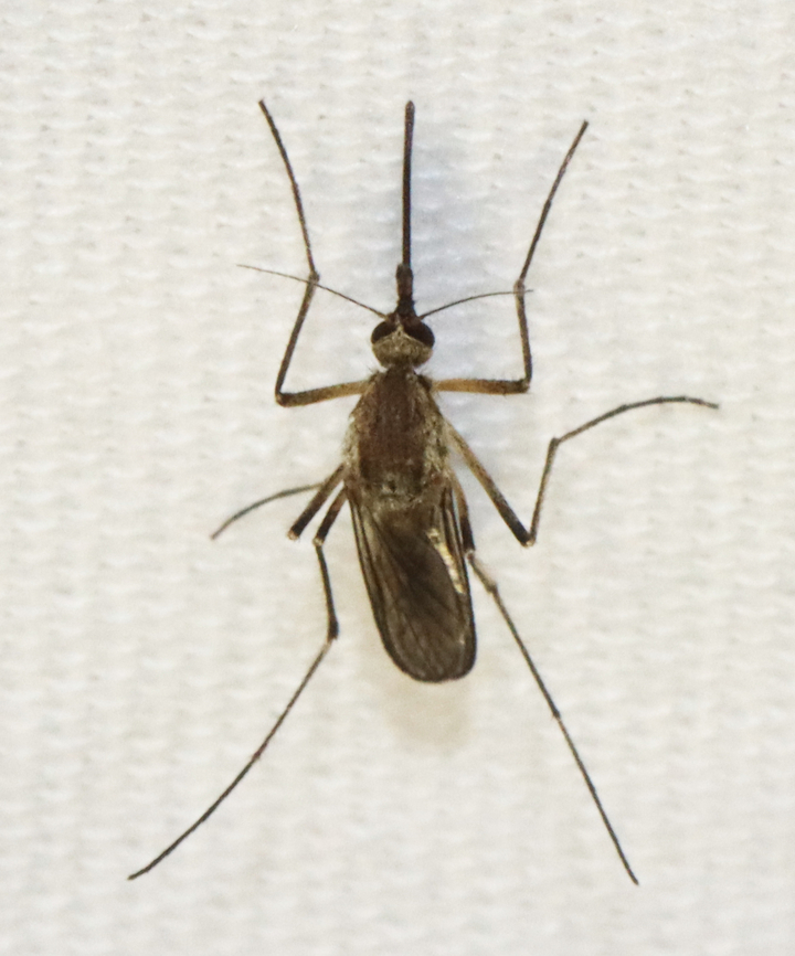
''Ochlerotatus sticticus'' is an uncommon mosquito, although the species can be abundant along river floodlands. It has been known to be responsible for human bites. Like all mosquitoes, it is only the females that bite.
Similar species: True Flies
By Christine Young
All rights reserved
Uploaded May 16, 2022. Captured May 11, 2022 22:30 in 5 East St, New Milford, CT 06776, USA.



