
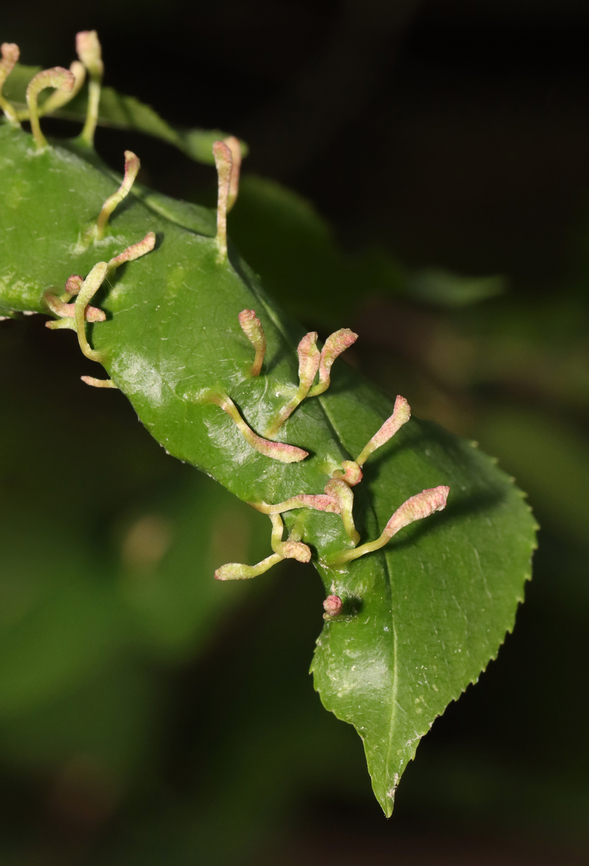
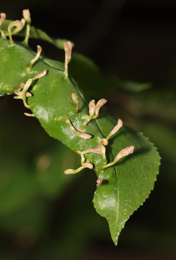
Eriophyes cerasicrumena is a mite that produces galls on the upper surface of black cherry (Prunus serotina) leaves.
Similar species: Endeostigmatan Mites
By Christine Young
All rights reserved
Uploaded Jan 24, 2022. Captured May 31, 2021 12:04 in 3280 Franklin Ave, Millbrook, NY 12545, USA.
comments (2)