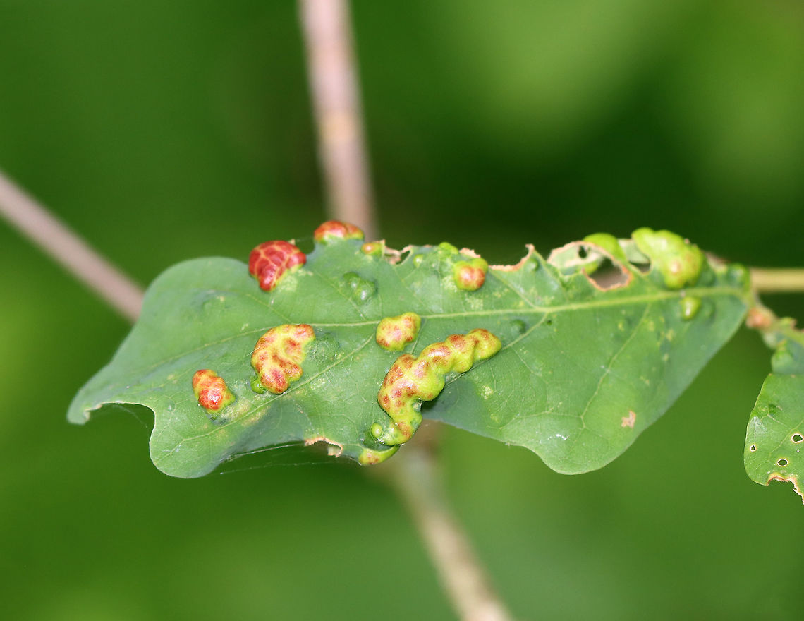
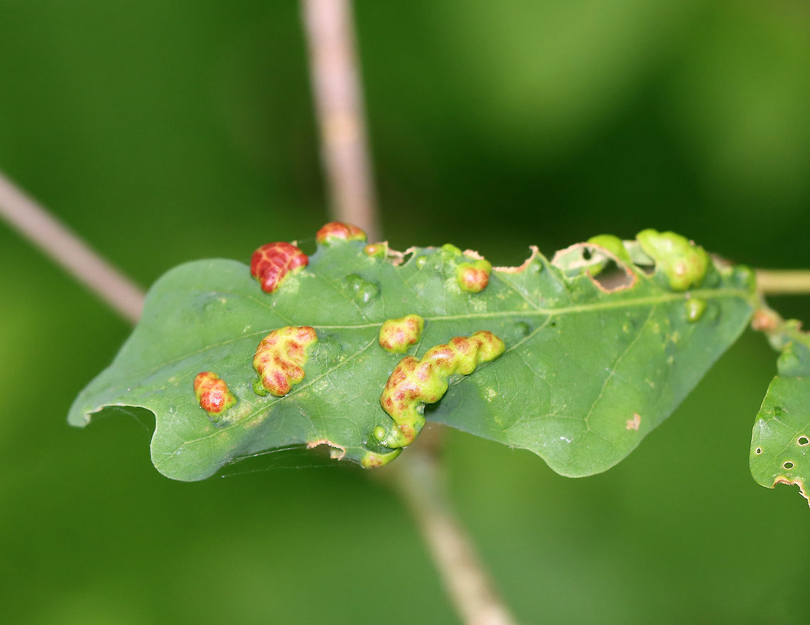
Aceria triplacis is a gall mite that causes erineum pockets on the leaves of white oak (Quercus alba).
Similar species: Endeostigmatan Mites
By Christine Young
All rights reserved
Uploaded Jan 26, 2021. Captured Jul 4, 2020 22:06 in 91 Main St, Sharon, CT 06069, USA.

