
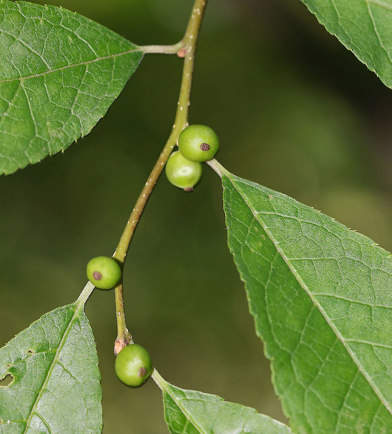
Common Winterberry - Ilex verticillata
A deciduous shrub with glossy, green leaves. The fruits are green in the summer, and then turn red in the winter and grow in drupes.
The berries provide critical food for birds in winter, and the shrubs provide cover for nesting during summer.
Habitat: Mixed forest

"Ilex verticillata", the winterberry, is a species of holly native to eastern North America in the United States and southeast Canada, from Newfoundland west to Ontario and Minnesota, and south to Alabama.
Similar species: Aquifoliales
By Christine Young
All rights reserved
Uploaded Dec 9, 2019. Captured Aug 4, 2019 10:00 in 281 Main St S, Woodbury, CT 06798, USA.