
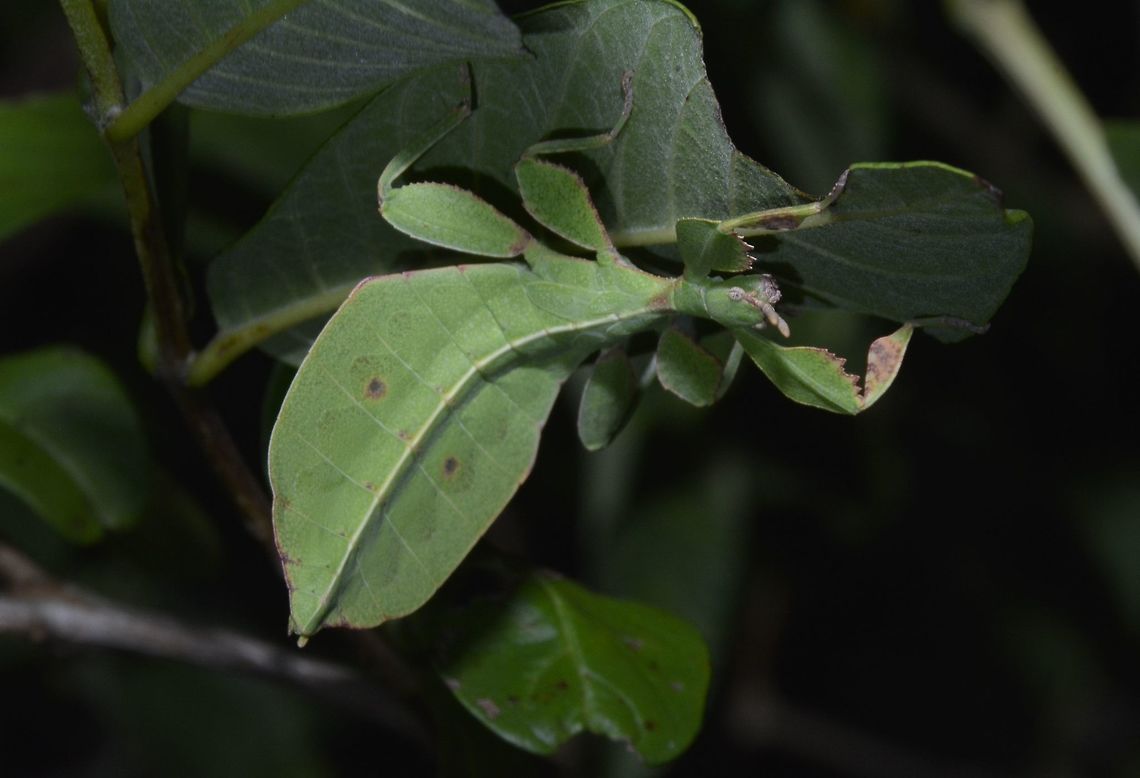
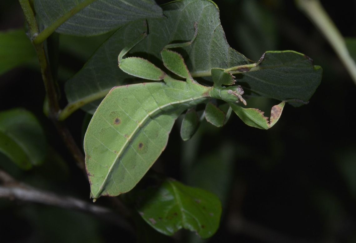
Phyllium bonifacioi is a species of Walking Leaf insect that was discovered in 2013 in Borneo. It is named in honor of Filipino revolutionary Andres Bonifacio.
Similar species: Stick And Leaf Insects
By Albert Kang
All rights reserved
Uploaded Jan 26, 2017. Captured May 29, 2016 20:54 in Leonardo Trail, Santa Ana, Cagayan, Philippines.
comments (2)
It's always amazing to me to find the 'true leaf insect' in the wild.
I do not consider Katydids as Leaf Insects as often time, when I asked guides (if I have to go with one) and tell them about leaf insects, they will says it is very common and then show me Leaf Katydids! :( Posted 8 years ago