
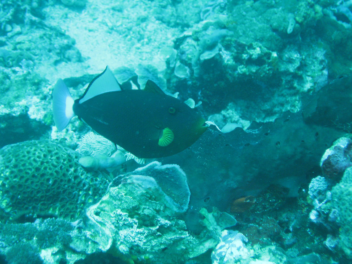
The pinktail triggerfish, ''Melichthys vidua'', is a species of triggerfish from reefs in the Indo-Pacific. It is very dark green with translucent whitish-pink dorsal and tail fins. They can grow up to 40 centimetres .
Similar species: Box, Puffer And Trigger Fishes
By Thibaud Aronson
All rights reserved
Uploaded Nov 8, 2016. Captured Sep 9, 2013 14:10 in Unnamed Road, Sakti, Nusapenida, Kabupaten Klungkung, Bali 80771, Indonesia.