JungleDragon is a nature and wildlife community for photographers, travellers and anyone who loves nature. We're genuine, free, ad-free and beautiful.

Join

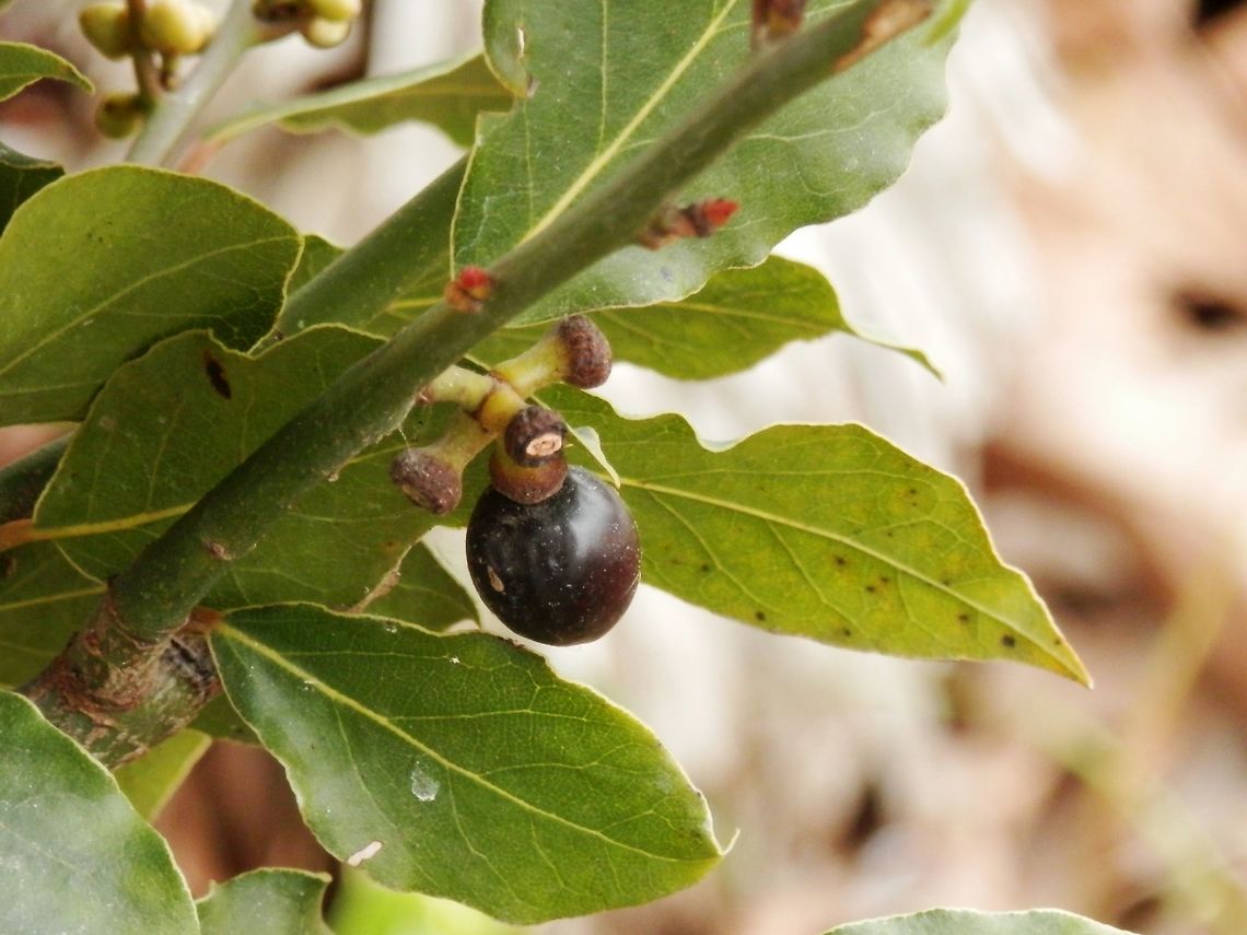
''Laurus nobilis'' is an aromatic evergreen tree or large shrub with green, glossy leaves, native to the Mediterranean region. It is one of the plants used for bay leaf seasoning in cooking. It is known as bay laurel, sweet bay, bay tree , true laurel, Grecian laurel, laurel tree or simply laurel. ''Laurus nobilis'' figures prominently in classical Greek, Roman, and Biblical culture.

Worldwide, many other kinds of plants in diverse families are also called "bay" or "laurel", generally.. more

Similar species: Laurales
Species identified by WildFlower
View WildFlower's profile

By WildFlower

All rights reserved
Uploaded Apr 12, 2015. Captured Mar 26, 2015 13:22 in Kerkini Lake National Park, Eparchiaki Odos Livadias-Kerkinis, Livadia 620 55, Greece.
  • SZ-14
  • f/6.4
  • 10/250s
  • ISO320
  • 48.9mm