
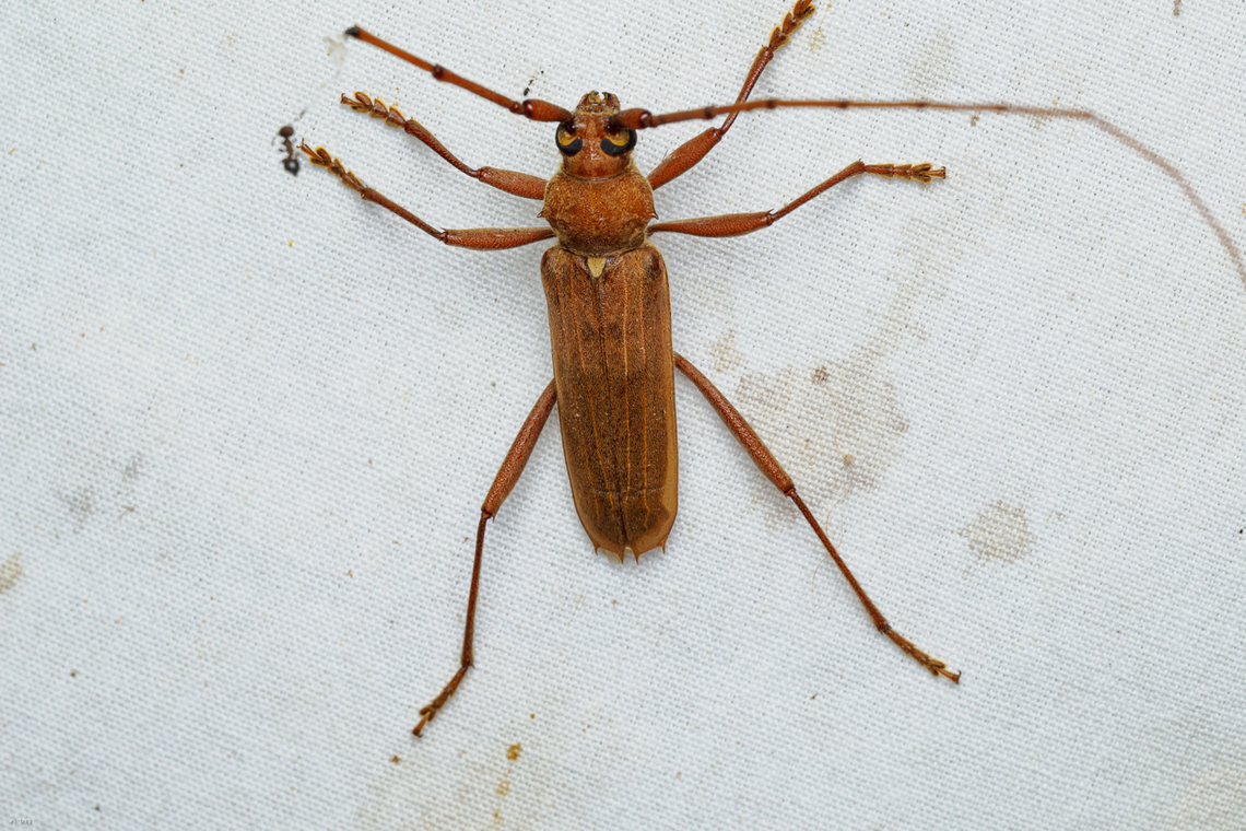
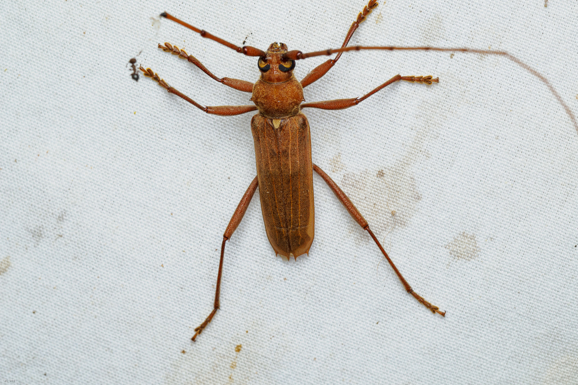
Banded Hickory Borer (Knulliana cincta)
Banded Hickory Borer (Knulliana cincta) --They are typically found on hickory and oak trees, where they lay eggs in crevices in the bark or directly into the wood. During their first season, the larvae feed beneath the bark, and later bore deeper into the wood. They sometimes cause significant damage to their host trees.

''Knulliana'' is a genus of longhorn beetles. It is monotypic, being represented by the single species ''Knulliana cincta'', commonly known as the banded hickory borer. The species may be found throughout the eastern half of North America, including Mexico and the Bahamas, with one subspecies extending to the Sonoran Desert.
They are typically found on hickory and oak trees, where they lay eggs in crevices in the bark or directly into the wood. During their first season, the larvae feed.. more