
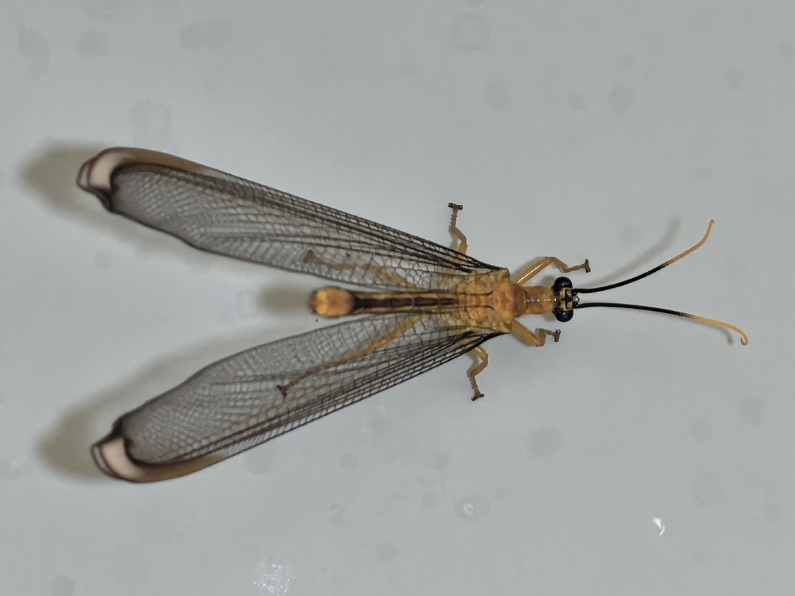
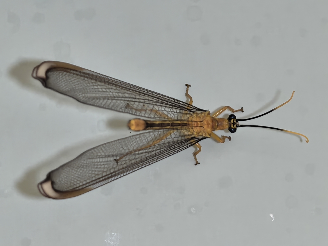
"Nymphes myrmeleonides" is an Australian insect in the order Neuroptera, known as the "blue eyes lacewing". It is found in areas of New South Wales and Queensland. The species have a body length of up to 4 centimetres and a wingspan of up to 11 cm, each wing ending in a white tip. The larvae of "N. myrmeleonides" resemble antlions and construct pit traps by burrowing into loose soil.
Similar species: Net-winged Insects
By Albert Kang
All rights reserved
Uploaded Dec 9, 2024. Captured Nov 17, 2024 00:10.