JungleDragon is a nature and wildlife community for photographers, travellers and anyone who loves nature. We're genuine, free, ad-free and beautiful.

Join

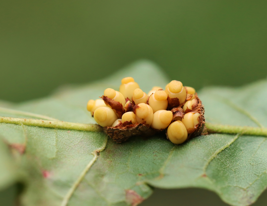
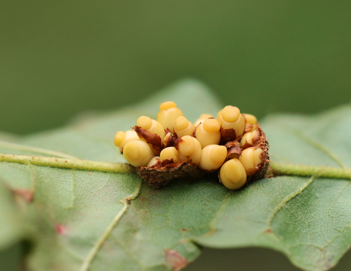
Galls - Kokkocynips decidua Host: Oak (Quercus sp.) Geotagged,Kokkocynips decidua,Summer,United States Click/tap to enlarge PromotedSpecies introCountry intro

Galls - Kokkocynips decidua

Host: Oak (Quercus sp.)

    comments (2)

  1. Cool how the galls are always clustered for this species! Posted one year ago
    1. Yes, they seem to have no concept of personal space. Posted one year ago

Sign in or Join in order to comment.

Kokkocynips decidua is a gall-forming wasp in the family Cynipidae.

Species identified by Christine Young
View Christine Young's profile

By Christine Young

Attribution Non-Commercial
Uploaded Sep 13, 2024. Captured Sep 7, 2024 10:15 in 5 Judson Ave, Woodbury, CT 06798, USA.
  • Canon EOS 90D
  • f/4.5
  • 1/395s
  • ISO800
  • 100mm