
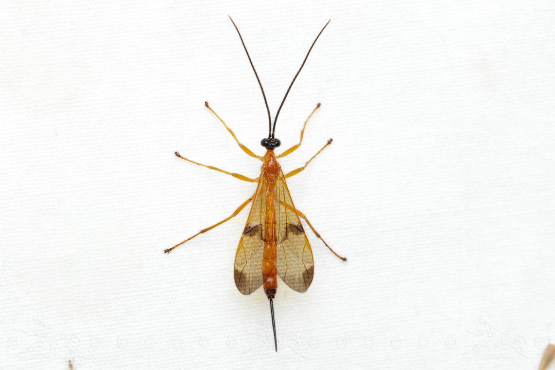
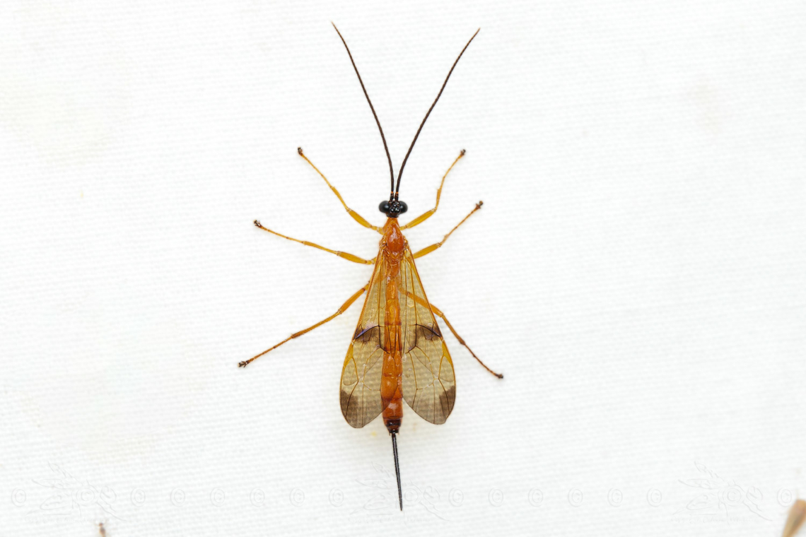
"Acrotaphus wiltii" is a species of ichneumon wasp in the family Ichneumonidae. It can be found in North America.
Similar species: Wasps, Bees, Sawflies And Ants
By t7iguy
Attribution Non-Commercial No Derivatives
Uploaded Aug 29, 2024. Captured Jul 28, 2022 03:44.