
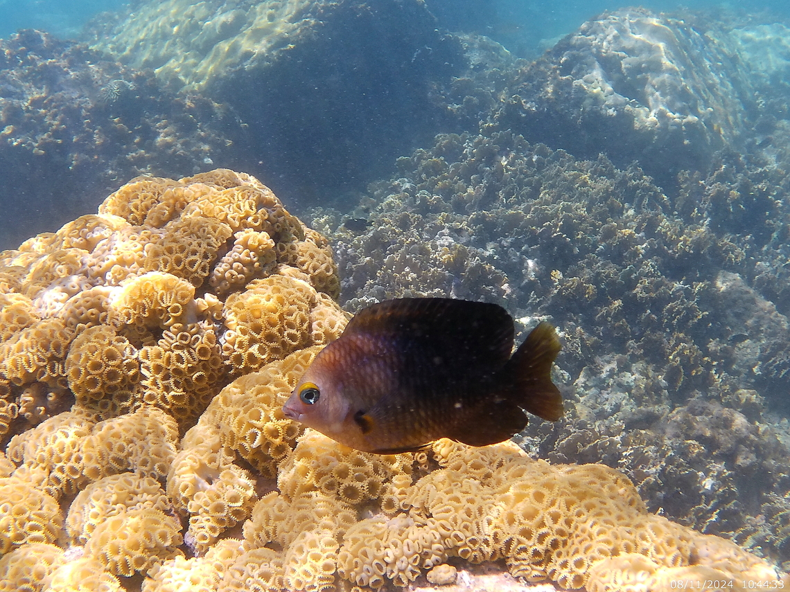
"Stegastes planifrons" is a damselfish from the Western Atlantic. It occasionally makes its way into the aquarium trade.
Similar species: Cichliformes
By Sergio112358
All rights reserved
Uploaded Aug 12, 2024. Captured Aug 11, 2024 10:44 in HWHQ+JF2, Vía Puerto Francés, 1231, Miranda, Venezuela.