
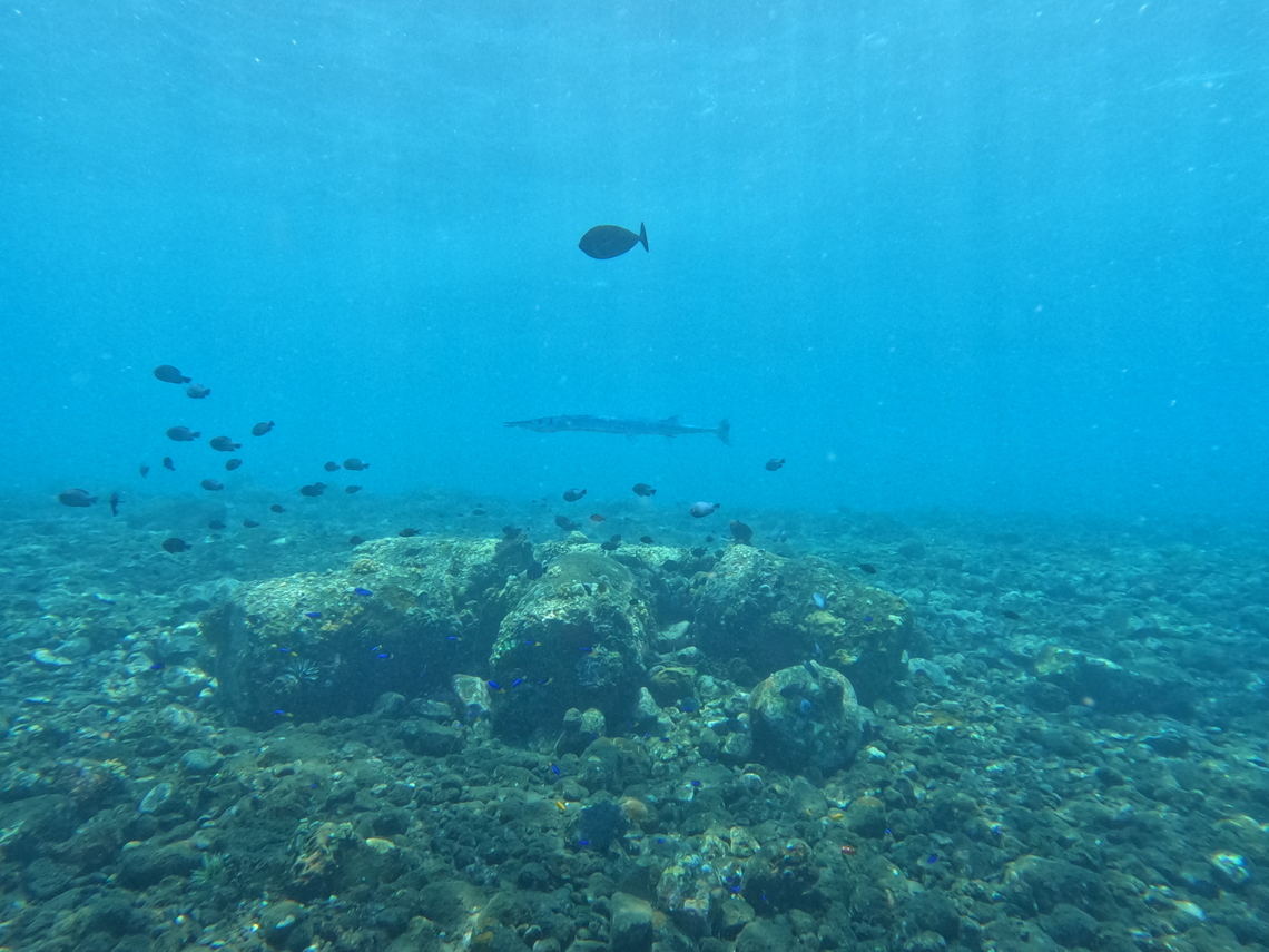
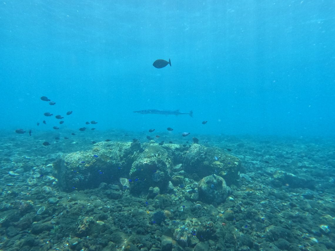
The houndfish is a game fish of the family Belonidae. It is the largest member of its family, growing up to 5 feet in length and 10 pounds in weight. It is also often called the crocodile needlefish.
Similar species: Needlefishes, Halfbeaks, Etc.
By Albert Kang
All rights reserved
Uploaded Nov 5, 2023. Captured Oct 18, 2023 12:02.