
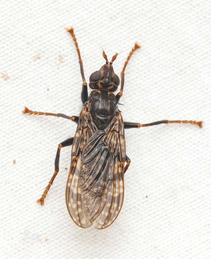
Sphecomyiella valida
GBIF states that Sphecomyiella valida is a "synonym" of Pyrgota (Sphecomyiella) valida (Harris, 1835) -(https://www.gbif.org/species/4295330)
"The Pyrgotidae are specialized for internal parasitism in the larval stages on adult scarabaeid beetles. The parasitic habit of some species may have a pronounced effect on controlling populations of pest scarabaeids. Most species of Pyrgotidae fly at night when their hosts are flying. The female deposits her eggs into the abdomen of the beetle while both are in flight." (1)
(1) Kondratieff, B.C. and S.J. Fitzgerald. (1993). A new species of Sphecomyiella (Diptera: Pyrgotidae) from North America. Proceedings of the Entomological Society of Washington 95: 554-557 (Biostor)