JungleDragon is a nature and wildlife community for photographers, travellers and anyone who loves nature. We're genuine, free, ad-free and beautiful.

Join

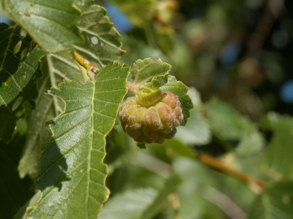
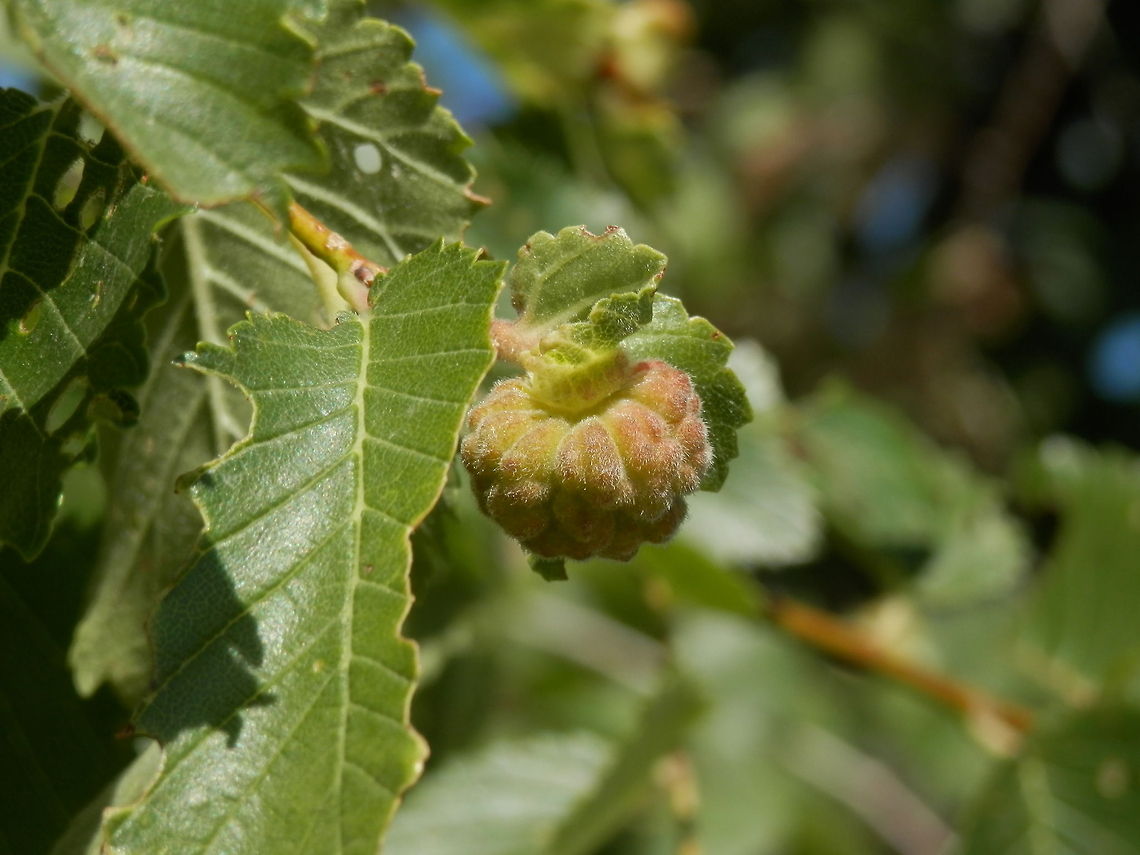
Woolly elm aphid  Bulgaria,Eriosoma lanuginosum,Woolly elm aphid Click/tap to enlarge PromotedSpecies introCountry intro

Woolly elm aphid

- No description given -

Sign in or Join in order to comment.

Eriosoma lanuginosum (Hartig, 1839) is an aphid species which causes the formation of pseudogalls on Elm leaves. The elm balloon-gall aphid Eriosoma lanuginosum induces Ulmus trees to produce large bloated-leaf galls and several generations of wingless aphids live inside the growing gall until it fissures, permitting winged aphids to move to a different host (Blackman & Eastop, 2013).

Similar species: True Bugs
Species identified by WildFlower
View WildFlower's profile

By WildFlower

All rights reserved
Uploaded Feb 24, 2014. Captured May 25, 2013 16:05.
  • SZ-14
  • f/5.4
  • 10/5000s
  • ISO80
  • 25.1mm