
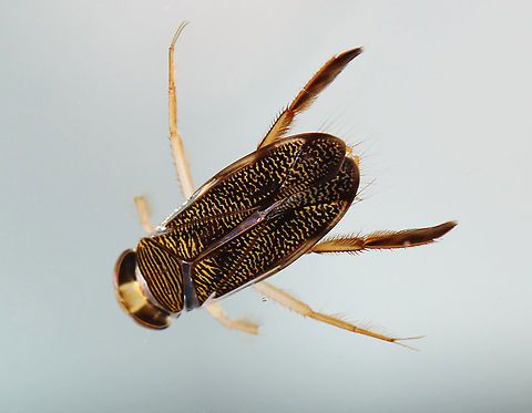
''Hesperocorixa interrupta'' is a species of water boatman in the family Corixidae. It is found in North America.
Similar species: True Bugs
By Christine Young
All rights reserved
Uploaded Dec 7, 2021. Captured Mar 21, 2021 17:58 in 281 Main St S, Woodbury, CT 06798, USA.
comments (4)