JungleDragon is a nature and wildlife community for photographers, travellers and anyone who loves nature. We're genuine, free, ad-free and beautiful.

Join

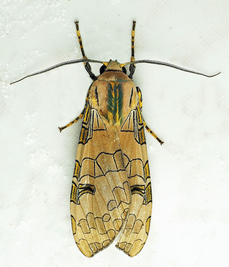
Halysidota sp. Dapa, Valle Del Cauca, 2100m Halysidota underwoodi Click/tap to enlarge PromotedSpecies introCountry intro

Halysidota sp.

Dapa, Valle Del Cauca, 2100m

    comments (4)

  1. Awesome! Halysidota sp. Posted 5 years ago
    1. Thanks very much Christine. Posted 5 years ago
      1. You're welcome. There are a few very similar species in this genus, so I'm not sure of the species, unfortunately. Hopefully someone else can fill that detail in for us! Posted 5 years ago
  2. Thank you CathDH> Posted 4 years ago

Sign in or Join in order to comment.

''Halysidota underwoodi'', or Underwood's tussock moth, is a moth of the family Erebidae. It was described by Walter Rothschild in 1909. It is found in Mexico, Guatemala, Nicaragua, Costa Rica, Panama, Colombia, Venezuela, Ecuador, Peru and Bolivia.

The species was named after Cecil F. Underwood.

The larvae feed on ''Acalypha'' species.

Similar species: Moths And Butterflies
Species identified by CathDH
View Peter Dexter Hoell's profile

By Peter Dexter Hoell

All rights reserved
Uploaded Jan 17, 2021. Captured Jan 16, 2021 20:50.
  • ILCE-6000
  • f/16.0
  • 1/400s
  • ISO1000
  • 50mm